Эксперимент с виноградом удался в городе Карелии

Эксперимент с виноградом удался в городе Карелии
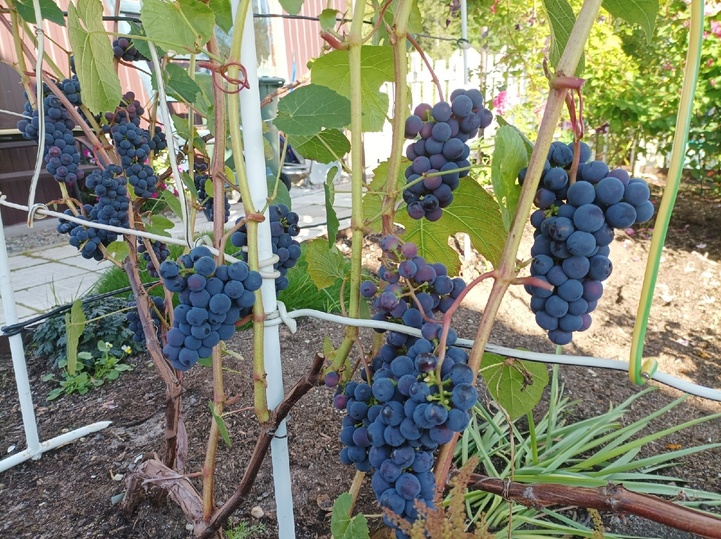
Фото: группа "БЕСЕДКА в Костомукше ТОВАРНОЙ"

Жительница Костомукши похвасталась выращенным виноградом в группе «БЕСЕДКА в Костомукше ТОВАРНОЙ». Она рассказала, что решила поэкспериментировать и, покупая укорененный черенок, не ожидала такого результата. Эксперимент все же удался – в этом году у нее поспевает первый урожай.

Фото: группа "БЕСЕДКА в Костомукше ТОВАРНОЙ"

«Это виноград Амурский, растет и зимует на улице. На третье лето дал урожай, кистей было больше, пришлось их нормировать, чтоб успел вызреть», – в комментариях к посту объяснила женщина всем интересующимся.

Читайте: "Дикие помидоры выросли в городе Карелии".

Что еще почитать

В регионах

Новости региона

Все новости

Новости

Самое читаемое

...
Сегодня
...
...
...
...
Ощущается как ...

Автовзгляд

Womanhit

Охотники.ру